Следы невиданных зверей. Академик РАН — о загадочных отверстиях на дне Атлантики
Вот уже два десятка лет исследователи морских глубин не могут выяснить природу удивительных отметин, похожих на пунктирные линии.

Академик РАН высказал предположение о природе загадочных отверстий на дне Атлантического океана. Обложка © Шедеврум
Загадочные отверстия на дне Атлантического океана напоминают следы клешней глубоководного краба, но настолько упорядоченными подобные отметины ещё никогда не встречали, рассказал Life.ru академик РАН, президент Национального научного центра морской биологии имени А.В. Жирмунского Андрей Андрианов.
— То, что крабы целенаправленно прокалывают грунт клешнями в поисках пищи, факт известный. Но такая геометрическая правильность этих загадочных следов, конечно, удивительна, — отметил доктор биологических наук.

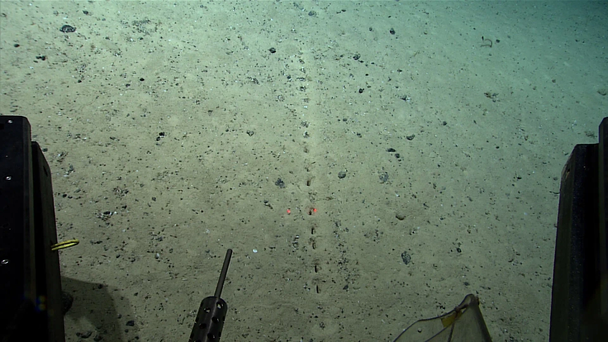
Загадочные отверстия на дне Атлантического океана. Фото © oceanexplorer.noaa.gov
Напомним, эти следы обнаружили ещё в 2004 году во время изучения дна с помощью глубоководного аппарата. Находятся они на более чем двухкилометровой глубине на севере Атлантики — неподалёку от Азорских островов. В этом месте проходит Срединно-Атлантический хребет — граница между литосферными плитами.
Отверстия обращают на себя внимание своей вытянутой формой, они совершенно одинаковы — примерно шестисантиметровой длины каждое — и следуют друг за другом на практически таком же расстоянии. Получается нечто вроде пунктирных линий протяжённостью в несколько метров.
Академик Андрианов подчеркнул, что ещё не видел ничего подобного и может только попытаться «пофантазировать» насчёт своеобразного расположения отверстий как бы «по ходу движения». Это могло бы оказаться результатом целенаправленного поиска пищи под мягким грунтом, размышляет специалист в области сравнительной морфологии и систематики беспозвоночных.
Загадочные отверстия на дне Атлантического океана. Фото © oceanexplorer.noaa.gov
Зоолог привёл в пример японского глубоководного краба-паука. Со своим порой 20-килограммовым весом, длиной тела до 80 сантиметров и трёхметровым размахом передних клешней это крупнейшее из известных членистоногих. Он обитает в Тихом океане на глубине нескольких сотен метров и часто обследует дно в поисках водорослей или моллюсков. Размер отверстий вполне соответствует «пальцам» подобного животного, заверил доктор биологических наук.
— У некоторых крабов даже передние «клешненосные» ноги имеют сильно уплощённые и заострённые клешни (чем не наконечник копья?). Крабы с их ротовым аппаратом могут «есть» всё что угодно, в том числе обитающих в мягких грунтах зарывающихся моллюсков. Если бы, например, краб с такими заострёнными и уплощёнными клешнями решил потыкать в относительно мягкий грунт, след остался бы точно такой, — объяснил академик РАН.
Он добавил, что для проделывания подобных отверстий предполагаемому животному нужно намеренно прикладывать усилия: когда краб-паук просто идёт по морскому дну, он таких следов не оставляет. Доктор наук сравнил такое прокалывание грунта с методичным поиском клада или мин. Стоит упомянуть, что некоторые ряды отверстий явно свежие — выделяются на фоне окружающего дна более светлым выброшенным наверх грунтом.


